menu
ホーム
釣果情報
お知らせ
料 金
磯マップ
磯マップ – 阿曽浦
磯マップ – 志戸
磯マップ – 相賀浦
アクセス
リンク
釣果情報
ホーム
釣果情報
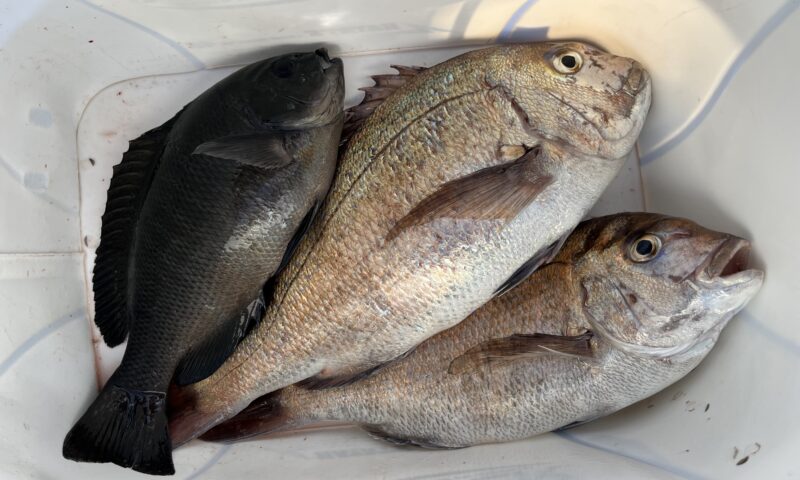
マダイ 45〜48cm 2尾 グレ 33cm 1尾
2026.01.31
釣果情報
マダイ 45〜48cm 2尾 グレ 33cm 1尾
釣果情報
マダイ 42〜45cm 2尾 グレ 26〜28cm 6尾 ボラ 70〜72cm 2尾
尾長グレ 38cm 1尾 グレ 33cm 1尾
関連記事
イシガキ 45cm 1尾 オジサン 35cm 1尾
田口様 イシダイ 50cm 1尾
ブダイ 39~45㎝ 6匹
カワハギ 20〜28cm 9尾 アカハタ カサゴ
下里様二人 ブダイ 30〜46cm 17尾
アオリイカ 27~33㎝ 2杯 カワハギ 30㎝ 1匹
最近の釣果
2026.05.10
アオリイカ 28〜29cm 3杯 ヤエン仕掛け
2026.05.10
アオリイカ 28〜29cm 2杯 ヤエン仕掛け
2026.05.9
アオリイカ 32〜36cm 3杯 ヤエン仕掛け
2026.05.9
アオリイカ 28〜30cm 3杯 ヤエン仕掛け バラ…
2026.05.9
アオリイカ 29〜30cm 2杯 ヤエン仕掛け
PAGE TOP